조황관리HOME / 조황관리 / 상세정보

제목 : 감성돔흘림!!소수인원조황!!내일정상출항 자리텅~
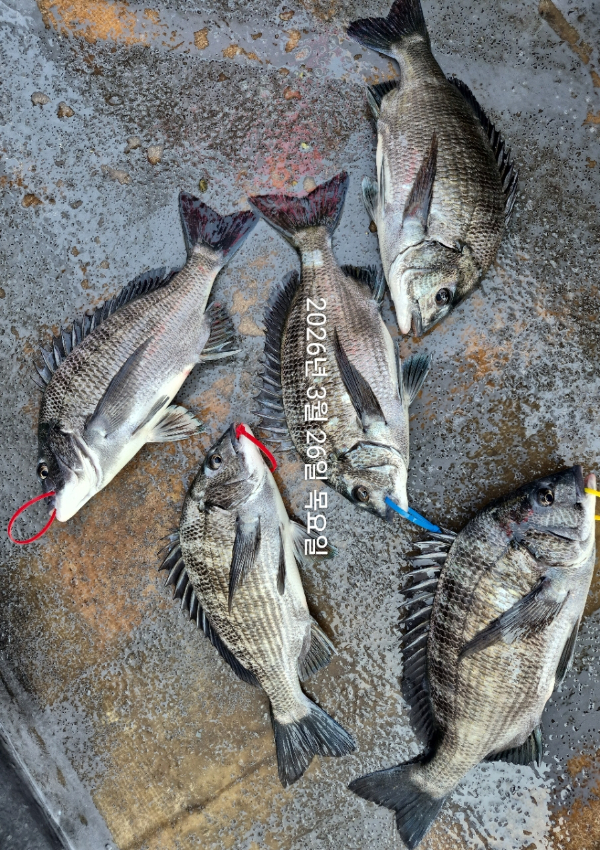
등록일 : 2026-03-26



감성돔 흘림 출조
전화예약 010 5858 0332

출조시간 유동적
선비 10만원 
*조황에따라 포인트,입.출항시간 변동될수 있습니다

크릴미끼,밑밥포함,대체미끼(옥수수) 제공
식사제공 (라면,김밥NO!!추운데 뜨근한거 드셔야죠!!)
핫팩제공
로드.릴 샾에서 민물세척가능
난방기.설치
컵라면.생수.커피 비치되어있습니다

*백크릴 구매 가능,경단구매가능
*민물새우는 가게에 판매 하지 않으니 구매 해오시기 바랍니다

출항 30분전 배에서 자리추첨후 바로출항

회 손질 가능 키로 5천원

● 주소
창원시 진해구 명제로324번길 33 (삼포항)
● 입금계좌 (입금 후 꼭!!입금 확인 문자 보내주세요!!)
    은행 수협 0000 5858 0332
    예금주 윤지혜
● 예약전화번호
  낚시점 01058580332 (예약문의) 




*** 진해 백호낚시 예약 안내 ***


예약문의 : 010-5858-0332

오시는길 : 경남 창원시 진해구 명제로324번길 33
네이버밴드 : http://band.us/@whitetigerfishing (백호낚시)

모바일.gif

Top